В 2026 году Землю ждет извержение огромного вулкана: где находится гигант»>

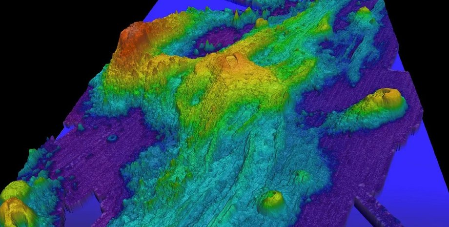
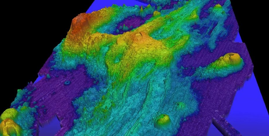
подводный вулкан аксиал Самый активный вулкан Тихого океана извергнется в 2026 году | National Oceanic and Atmospheric Administration (NOAA)

Исследователи предупредили, что извержение огромного вулкана, которое, как ожидалось, произойдет до конца 2025 года, откладывается. Новые данные указывают, что гигант извергнется в следующем году.

В прошлом году ученые прогнозировали, что извержение гигантского вулкана, расположенного на морском дне Тихого океана у побережья Орегона, произойдет до конца текущего года. К счастью, прогнозы океанографов и геологов не подтвердились — однако теперь ученые прогнозируют, что подводный вулкан Аксиал, вероятно, извергнется в следующем, 2026, году, пишет IFLScience.

У Фокус. Технологии появился свой Telegram-канал. Подписывайтесь, чтобы не пропускать самые свежие и захватывающие новости из мира науки!

По словам научного сотрудника Морского научного центра Хэтфилда при Университете штата Орегон Билла Чедвика, похоже, ученым придется добавить еще один год к прогнозному периоду — данные указывают на то, что вулкан Аксиал так и не достиг пикового порога. Ожидается, что извержение гиганта может произойти до середины-конца 2026 года.

Відео дня

Почему предыдущий прогноз оказался неверным?

Прогнозирование вулканических извержений — невероятно сложный процесс, а предсказывать такие события за недели или даже месяцы вперед почти невозможно. По словам геофизика из Института океанографии Скриппса в Калифорнии Марка Зумберга, гора Аксиал — самый хорошо оснащенный подводный вулкан на Земле.

В результате, обладая огромным объемом информации, ученые пришли к выводу, что извержение этого гигантского подводного вулкана является почти неизбежным. Аксиал постоянно находится под наблюдение датчиков, которые предоставляют данные в режиме реального времени о таких вещах, как:

  • движение океанского дна;
  • местная сейсмическая активность;
  • увеличение поверхности вулкана с течением времени.

Именно последний показатель в ноябре 2024 года побудил Чедвика обратить на вулкан особое внимание — тогда раздутие Аксиального вулкана превысило уровни, достигнутые в 2015 году непосредственно перед извержением.

По словам профессора Школы океанографии Вашингтонского университета Уильяма Уилкока, со временем вулкан раздувается из-за накопленной под поверхностью магмы. В результате некоторые исследователи выдвинули гипотезу, что степень раздувания вулкана может предсказать, когда произойдет извержение. Впрочем, теперь очевидно, что гипотеза оказалась неверной — по крайней мере, неполной.

Хотя уровень инфляции уже давно превысил порог, при котором произошло извержение вулкана Аксиал в 2015 году, он еще не достиг того немного более высокого порога, который, как теперь подозревают Чедвик и его коллеги, необходим для повторного извержения.

Когда произойдет извержение?

По словам Чедвика, то, когда именно произойдет извержение вулкана Аксиал — все еще остается загадкой. Однако по мере развития технологий и гипотез ученые надеются, что новая модель, основанная на физических принципах, может оказаться более точной, чем их предыдущие прогнозы, основанные на закономерностях.

В ходе исследования ученые разработали общую модель для прогнозирования механических разрушений в различных геологических условиях: оползни, горные удары, ледники и вулканы. По словам Чедвика, пока все указывает на то, что модель работает хорошо и способна спрогнозировать будущее извержение подводного вулкана. Ожидается, что оно произойдет с середины до конца 2026 года.

Напомним, ранее мы писали о том, что один из самых активных вулканов Тихого океана играет в прятки.

Ранее Фокус писал о том, что самый активный гигант Тихого океана извергнется в любой момент.

RSP

Добавить комментарий

Ваш адрес email не будет опубликован. Обязательные поля помечены *

Яндекс.Метрика